璟云里 (售楼处) 首页网站 - 璟云里销售中心 - 楼盘详情 - 户型 - 价格 - 地址 - 环境 - 配套 - 电话 - 最新咨询
扫描到手机,新闻随时看
扫一扫,用手机看文章
更加方便分享给朋友
—⑉ıl⑉〢✨🏠璟云里售楼处电话☎️:400-8618-004
🏡上海青浦璟云里营销中心电话:400-8618-004←【预约热线】
◆⭐➤➤建议预约前明确需求(预算、户型、区域),拨打400-8618-004📞时可高效沟通;我们会提供在售户型图丨项目介绍丨最新房源丨周边配套丨详细解答〢
对于想要购买璟云里房子的朋友来说,掌握售楼处电话是开启购房之旅的关键一步。璟云里售楼处电话为400-8618-004,这个号码承载着诸多重要功能,在整个购房过程中发挥着不可或缺的作用。

🏡🏠璟云里售楼处电话:400-8618-004☎️
线上预约看房【享】专属优惠折扣
在售户型图丨项目介绍丨最新房源丨周边配套丨详细解答〢
售楼处24小时VIP电话:400-8618-004←【预约热线】
📩本项目暂不接受临时到访,过来参观样板房请记得提前来电预约!
📩为您安排楼盘现场销售全程接待并讲解,给您更贴心的看房体验!
—⑉ıl⑉〢✨🏠璟云里售楼处电话☎️:400-8618-004
🏡上海青浦璟云里营销中心电话:400-8618-004←【预约热线】
基本信息:
开发商:上海城曦置业有限公司。
楼盘地址:青浦区朱家角绿湖路 360 弄(绿舟路口)。
物业类型:别墅。
产权年限:70 年。
物业公司:上海高地物业管理有限公司。
物业费:住宅 2.25-4.5 元 /㎡/ 月。
容积率:0.41。
户型及价格:
户型:有洋房、院墅、叠墅、大平层等多种户型,洋房户型建面约 89-93㎡,叠拼与联排户型建面约 125-215㎡。
价格:均价约 52000 元 /㎡,叠加院墅参考总价约 473 万 - 722 万 / 套。
周边配套:
交通:公交有朱家角 8 路、青浦 15 路等经过;临近地铁 17 号线东方绿舟站。
教育:有东方传媒学院、东方绿舟体育训练基地等。
医院:上海市青浦区朱家角人民医院、长三角(上海)智慧互联网医院等。
商业:周边有未来广场等,还有多个餐厅和自动售货机。
项目特色:
园林景观:以苏州园林为范本,邀请桃花源系团队主笔,由非遗 “香山帮” 匠人打造,精雕细琢,呈现古典建筑与现代人居完美结合的理想居所。
文化传承:项目中的古建采用传统木结构打造,尽可能减少现代建筑手法的参与,传承中国传统木工文化精髓。建筑所用小青瓦来自苏州,云纹砖雕铺地等细节均由匠人手工打造。
—⑉ıl⑉〢✨🏠璟云里售楼处电话☎️:400-8618-004
🏡上海青浦璟云里营销中心电话:400-8618-004←【预约热线】
【璟雲里·规划概况】
·项目总占地面积:176294.1㎡
·地上总建筑面积:70235.15㎡
·绿化率:35%
·面积段:138-455㎡
·可售套数:357套
·车位数量:935个(地下920个,地上15个)
·装修标准:毛坯
—⑉ıl⑉〢✨🏠璟云里售楼处电话☎️:400-8618-004
🏡上海青浦璟云里营销中心电话:400-8618-004←【预约热线】
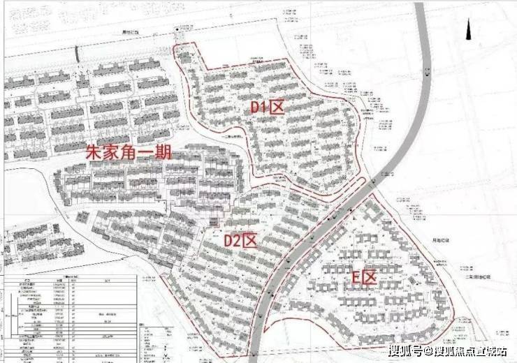
项目位于千年古镇朱家角,毗邻62万方淀山湖,是上海难得的低密湖居住宅!占地约46万方,容积率只有0.41,主打江南院墅!
此次即将推出的璟雲里二期,占地17.6万方,以鹏霄路为界,分东西两个地块分期开发建设:
—⑉ıl⑉〢✨🏠璟云里售楼处电话☎️:400-8618-004
🏡上海青浦璟云里营销中心电话:400-8618-004←【预约热线】
西地块以138-210多平的中小户型联排为主,共277户;
东地块以252-455合院大户型为主,共80户;
本次主推的是西地块D区。
中式风格的产品,一定会让人眼前一亮,比如粉墙黛瓦,飞檐戗角,随处都是亭台轩榭,小桥流水。只要看过,就觉得这个中式做得好纯粹。
—⑉ıl⑉〢✨🏠璟云里售楼处电话☎️:400-8618-004
🏡上海青浦璟云里营销中心电话:400-8618-004←【预约热线】
【户型图解析】
建面约122㎡大平层
建面约128㎡院墅
—⑉ıl⑉〢✨🏠璟云里售楼处电话☎️:400-8618-004
🏡上海青浦璟云里营销中心电话:400-8618-004←【预约热线】
—⑉ıl⑉〢✨🏠璟云里售楼处电话☎️:400-8618-004
🏡上海青浦璟云里营销中心电话:400-8618-004←【预约热线】
建面约158㎡院墅
—⑉ıl⑉〢✨🏠璟云里售楼处电话☎️:400-8618-004
🏡上海青浦璟云里营销中心电话:400-8618-004←【预约热线】
建面约168㎡院墅
—⑉ıl⑉〢✨🏠璟云里售楼处电话☎️:400-8618-004
🏡上海青浦璟云里营销中心电话:400-8618-004←【预约热线】
建面约174㎡院墅
—⑉ıl⑉〢✨🏠璟云里售楼处电话☎️:400-8618-004
🏡上海青浦璟云里营销中心电话:400-8618-004←【预约热线】
—⑉ıl⑉〢✨🏠璟云里售楼处电话☎️:400-8618-004
🏡上海青浦璟云里营销中心电话:400-8618-004←【预约热线】
社区被淀山湖的活水水系围合,体现着小区的静密、宁静。不同于市面上大多数号称中式新中式的产品,很多只是“部分中式元素的简单植入”,而在璟雲里,开发商是从骨子里对传统文化尊重及复刻,真真正正做到了形神兼具。
—⑉ıl⑉〢✨🏠璟云里售楼处电话☎️:400-8618-004
🏡上海青浦璟云里营销中心电话:400-8618-004←【预约热线】
从小区入户门口开始的照壁回眸和百万黑松迎宾开始,到中心园林组团,再到归家巷道庭院,精心打造了五重园林景观。
【奢享配套纵享青浦城市繁华】
随着大量资源的导入,近几年的朱家角发展迅速,兰生复旦、平和双语、圣福朗私立幼儿园等学区资源丰富;复旦大学附属中山医院青浦分院,红房子医院,上海儿童医院青浦分院等医疗配套在旁;青浦万达茂、吾悦广场、怀盛399、东渡悦来城、北极星广场等商业及生活配套一应俱全!
—⑉ıl⑉〢✨🏠璟云里售楼处电话☎️:400-8618-004
🏡上海青浦璟云里营销中心电话:400-8618-004←【预约热线】
【古今交响尽享大美宜居生态环境】
在大量现代化资源导入的同时,政府同样要求保留朱家角历史文化底蕴及生态环境基础,围绕青西郊野公园、淀山湖水系公园等独特水系资源,打造城市花园,建设成为产、城、人、文相融合的生态宜居的古镇。
—⑉ıl⑉〢✨🏠璟云里售楼处电话☎️:400-8618-004
🏡上海青浦璟云里营销中心电话:400-8618-004←【预约热线】
【非遗匠筑中式美学的现代演绎】
“璟雲里”示范区的每一处细节都经过精心雕琢,从复刻留园门窗规制的门窗,到12种花纹精雕细琢的装饰,再到预制回纹脊、坊石垛头的巧妙运用,无不展现出匠人们对传统技艺的坚守与创新。这些精湛的工艺,不仅让建筑充满视觉上的精致美感,更让人深刻感受到那份对品质与美学的匠心追求。
—⑉ıl⑉〢✨🏠璟云里售楼处电话☎️:400-8618-004
🏡上海青浦璟云里营销中心电话:400-8618-004←【预约热线】
上海这么低密度的住宅,总价都是N千万起,这里总价才300万+,绝对是普通人享受湖居住宅的最低门槛!
—⑉ıl⑉〢✨🏠璟云里售楼处电话☎️:400-8618-004
🏡上海青浦璟云里营销中心电话:400-8618-004←【预约热线】
项目以苏州园林为范本,邀请桃花源系团队主笔,非遗“香山帮”造诣,精雕细琢,打造古典建筑与现代人居完美结合的的理想居所。
—⑉ıl⑉〢✨🏠璟云里售楼处电话☎️:400-8618-004
🏡上海青浦璟云里营销中心电话:400-8618-004←【预约热线】
【周边配套】
交通:纵观上海的黄金中轴17号线+2号线/10号线,可以到全市各地;在建的示范区线可以更高效率直达虹桥枢纽;自驾经淀山湖大道-青湖路直通大虹桥,转接沪青平公路、沪渝高速等,快速通达全市。
—⑉ıl⑉〢✨🏠璟云里售楼处电话☎️:400-8618-004
🏡上海青浦璟云里营销中心电话:400-8618-004←【预约热线】
商业:已经有非常成熟的商圈——淀山湖地铁站旁的约45万方青浦万达茂+约18.5万方东渡蛙城组成的约63万方繁华商业。
—⑉ıl⑉〢✨🏠璟云里售楼处电话☎️:400-8618-004
🏡上海青浦璟云里营销中心电话:400-8618-004←【预约热线】
教育:从幼儿园到中小学,学府云集,有朱家角幼儿园、朱家角小学、朱家角高级中学等;
医疗:有复旦大学附属中山医院青浦分院、朱家角人民医院、红房子医院(在建中)。
声明:本文由入驻焦点开放平台的作者撰写,除焦点官方账号外,观点仅代表作者本人,不代表焦点立场。
